Nos géomètres topographes bénéficient de plusieurs années d’expérience dans ce domaine.
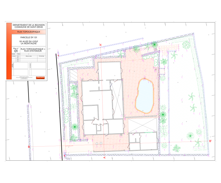
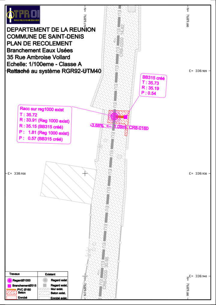
Notre entreprise réalise tous vos plans topographiques à La Réunion
Les paramètres d'affichage sont stockés pendant votre session sur ce site. La fin de la session (fermeture du navigateur ou de l'onglet) réinitialise les valeurs par défaut.
Ce site s'adapte aussi automatiquement aux paramètres d'accessibilité de votre terminal, comme la réduction des animations ou les contrastes élevés.